Inizia il "semestre filtro" di Medicina: il 70% degli iscritti sono donne. Si accede senza test, ma...
Bianca Caramelli
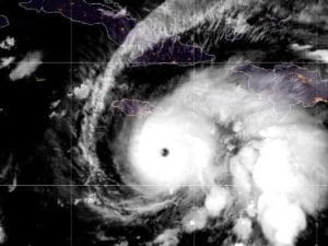
Dopo aver colpito la Giamaica, l'uragano Melissa, che ora è sceso a categoria 3, si è spostato...
Due donne ai vertici di una cooperativa sono state arrestate nel contesto di un'inchiesta sui casi di...
Floresha Prengu, 35 anni, non è tornata a casa dalle due figlie e dal marito dal mattino...
Come cambiano le estrazioni di Lotto e SuperEnalotto per Ognissanti: il calendario con le nuove date
Come cambiano le estrazioni di Lotto e SuperEnalotto per Ognissanti: il calendario con le nuove date
Il calendario delle estrazioni del Lotto e del Superenalotto subirà modifiche in occasione della festa di Ognissanti,...
Un aereo della Mombasa Air Safari è precipitato in Kenya, poco dopo essere partito dall'aeroporto di Diani....
Lavinia Capobianco ha perso la vita il 27 ottobre, schiantandosi con l'auto contro la struttura di una...
Nella notte del 20 ottobre, in un'operazione condivisa, Polizia e Guardia di Finanza hanno notato e fermato...
La Giamaica si prepara all’impatto dell’uragano Melissa, ora di categoria 5, che ha già causato 3 vittime...
Una decisione del Tar di Bari ha stabilito che un runner che nel marzo 2015 fu aggredito...
